5 300 000 Р 69 730 $ или 58 700

Информация о коттедже

65 м2
Площадь
1
Этажность
11 cоток
Участок

Дополнительная информация

Дом продаётся вместе с участком
есть
Развернуть
Агент
+7 (981) 786-93-57
Начать чат с агентом

Дом в Ленинградская область, Кингисепп Зеленый пер., 7 (65 м)

2-16136 Продаётся жилой дом в черте города, подъезд - асфальт, вся инфраструктура - 1 км, автобусная остановка и продуктовый магазинм, р. Луга. Дом из бревна общей площадью 65 кв.м, утеплён, четыре комнаты, кухня, веранда, санузел (бойлер, стиральная машина), холодная вода - ЦВС, канализация - септик (3 кольца), отопление - печь и конвекторы. В стоимость входит частично мебель и техника, строительные материалы (для отделки дома) и натяжные потолки. На участке 11 соток баня (три отделения), теплица, сарай, металлический гараж, забетонированное место под машину. Прямая продажа. Один собственник. Отличное место для постоянного проживания.Итака. Работаем с 1993 года.

Читать полностью

    Для того, чтобы купить 1-этажный коттедж по адресу: Кингисепп, Зеленый пер., 7, позвоните по телефону +7 (981) 786-93-57. Торопитесь! Объявление №50016455781 о продаже одноэтажного коттеджа опубликовано 24 января 2026.

    Позвонить Написать
    5 300 000 Р69 730 $ или 58 700
    Агент
    +7 (981) 786-93-57
    Начать чат с агентом
    Похожие предложения
    Дом в Ленинградская область, Всеволожский район, Куйвозовское с/пос, ... - Фото 1
    Дом в Ленинградская область, Всеволожский район, Куйвозовское с/пос, ... - Фото 2
    3 этажа, общая площадь 144м², участок 10 соток

    Дом 144 кв м на участке 10 соток. Снт Ленэнергоремонт пос. Варзолово. Добротный крепкий дом 2003 года постройки. Фундамент монолитная плита с цоколем в полный рост. Перекрытия ЖБ. Стены 1й этаж монолит, остальное брус. В доме два полноценных этажа и мансарда....
    • 3 эт.
    • 144 м²
    • 10 сот.
    5 250 000 Р
    Агент
    +7 (981) Показать номер
    Посмотреть контакты
    Дом в Кировский район, Синявинское городское поселение, садоводческий ... - Фото 1
    Дом в Кировский район, Синявинское городское поселение, садоводческий ... - Фото 2
    1 этаж, общая площадь 75м², участок 10 соток

    Дом – жилой, зарегистрирован, в окружении соснового леса, Кировский район, 19 км. Староладожского канала, СНТ «19 км. – Новоладожский канал 2,2 км.Электричество – 15 кВт.;Колодец с технической водой(6 колец);Септик переливной( 2 колодца);Отопление –...
    • 1 эт.
    • 75 м²
    • 10 сот.
    5 300 000 Р
    Агент
    +7 (963) Показать номер
    Посмотреть контакты
    Дом в Ленинградская область, Волосовский район, д. Клопицы 224 (49 м) - Фото 1
    Дом в Ленинградская область, Волосовский район, д. Клопицы 224 (49 м) - Фото 2
    2 этажа, общая площадь 48м², участок 30 соток

    Арт.Продаётся двухэтажный дом в д. Клопицы Продаётся уютный двухэтажный дом из бруса площадью 48,7 м, расположенный в живописной деревне Клопицы. Просторный участок 30 соток — отличное решение для тех, кто ищет тишину, пространство и возможность обустроить...
    • 2 эт.
    • 48 м²
    • 30 сот.
    5 299 999 Р
    Агент
    +7 (989) Показать номер
    Посмотреть контакты
    Дом в Ленинградская область, Всеволожский район, Морозовское городское ... - Фото 1
    Дом в Ленинградская область, Всеволожский район, Морозовское городское ... - Фото 2
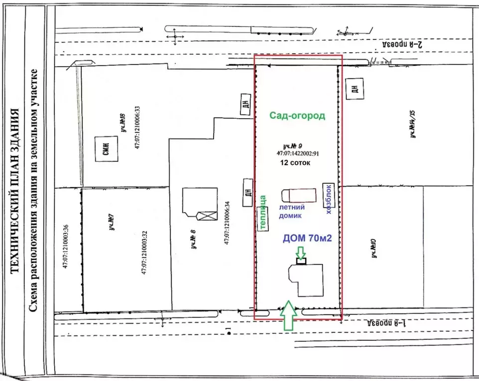
    2 этажа, общая площадь 69м², участок 12 соток

    ID: 312085Новый, обжитой, с отличной современной отделкой очень ухоженный 2-этажный дом и разработанный, чистый, ухоженный участок 12 соток с садом, огородом, и теплицей + гостевой домик 19,3м с кадастровым номером + отдельно стоящий хозблок. Домовладение...
    • 2 эт.
    • 69 м²
    • 12 сот.
    5 200 000 Р
    Агент
    +7 (981) Показать номер
    Посмотреть контакты
    Дом в Ленинградская область, Волховский район, Пашское с/пос, д. ... - Фото 1
    Дом в Ленинградская область, Волховский район, Пашское с/пос, д. ... - Фото 2
    1 этаж, общая площадь 91м², участок 12 соток

    Большой бревенчатый дом для круглогодичного проживания расположен на берегу реки Паша в окружении хвойного леса. К объекту ведет асфальтированная дорога, что обеспечивает удобный подъезд в любое время года. Участок полностью благоустроен и включает комплекс...
    • 1 эт.
    • 91 м²
    • 12 сот.
    5 300 000 Р
    Агент
    +7 (911) Показать номер
    Посмотреть контакты

    Не нашли подходящего объявления?

    Оставьте заявку, и наши риэлторы подберут купить дом в районе Кингисеппа

    (0)